0 Greensboro AvenueSanford, NC 27330
Due to the health concerns created by Coronavirus we are offering personal 1-1 online video walkthough tours where possible.




Mortgage Calculator
Monthly Payment (Est.)
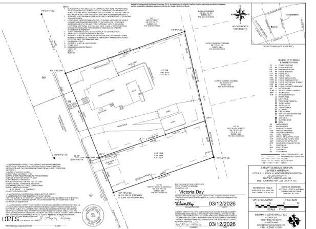
$224Flat, cleared, build-ready lot in Sanford with UN-6 (Urban Neighborhood) zoning, offering flexible residential development options. The UN-6 district is intended to support traditional neighborhood development patterns near Sanford's urban core and allows single-family homes as well as higher-density residential options such as duplex or small multi-family construction, making this a strong opportunity for both builders and investors. There is city water and sewer at the road and the lot is level, cleared, and requires minimal site work, making it one of the more straightforward building opportunities you'll find in the area. No significant clearing is needed, and grading requirements should be minimal, allowing construction to begin quickly once plans are finalized. This parcel is currently in the process of being subdivided, with the final survey expected shortly. Lot lines are already marked on site, and the photos included in the listing show approximate boundaries for reference. Final lot dimensions and boundaries will be confirmed once the survey is recorded in the coming days. Coming Soon while the subdivision is finalized. Updated survey documents and final lot measurements will be provided once available.
| 2 weeks ago | Listing updated with changes from the MLS® | |
| 3 weeks ago | Status changed to Pending | |
| 2 months ago | Listing first seen on site |
Listings that are marked with an icon are provided courtesy of the Triangle MLS, Inc. of North Carolina, Internet Data Exchange Database. Copyright 2026 Triangle MLS, Inc. of North Carolina. All rights reserved.
Last checked: 2026-04-30 01:17 PM UTC

Did you know? You can invite friends and family to your search. They can join your search, rate and discuss listings with you.