2208 Jonesboro RoadDunn, NC 28334
Due to the health concerns created by Coronavirus we are offering personal 1-1 online video walkthough tours where possible.




Mortgage Calculator
Monthly Payment (Est.)
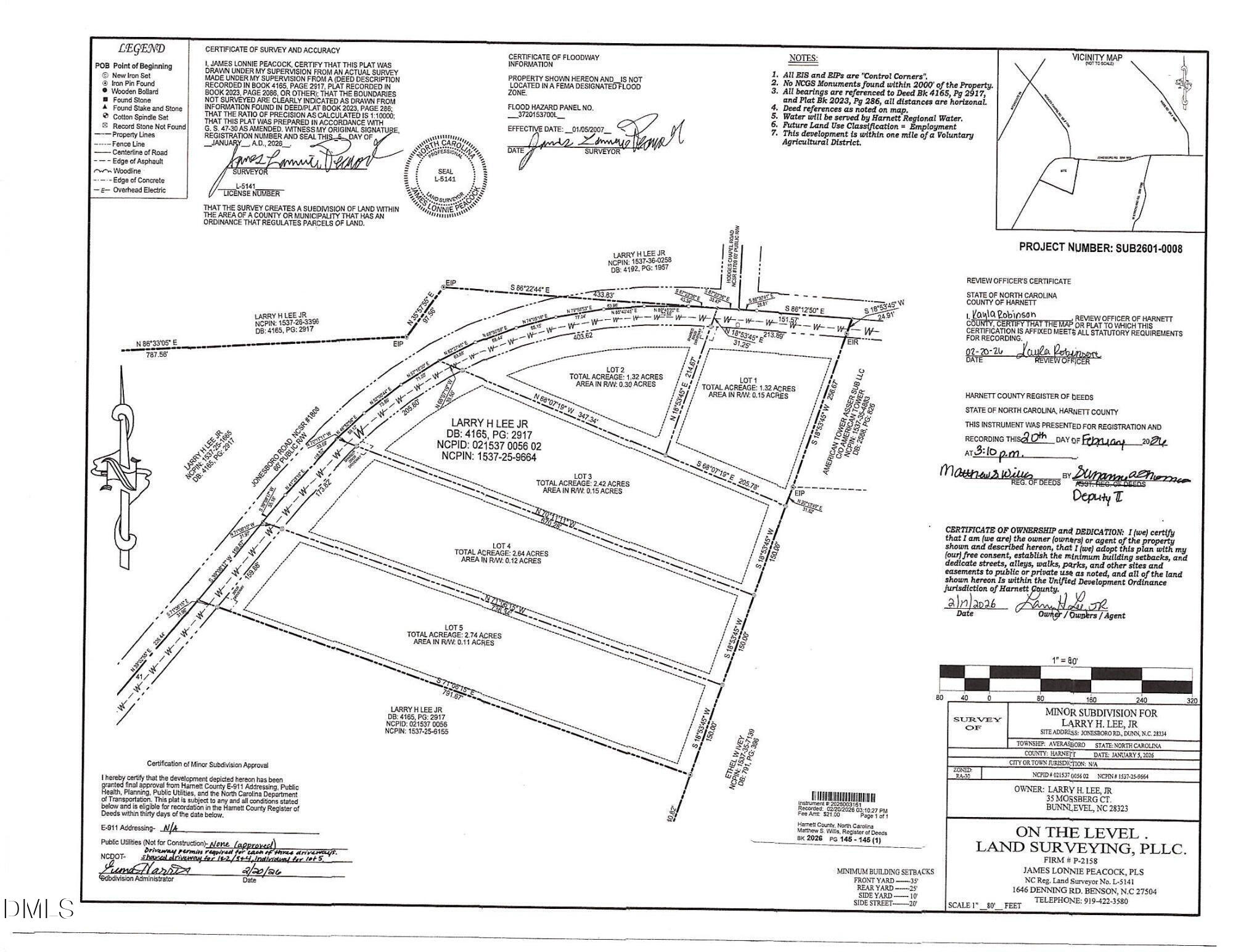
$707Build your dream home on this beautiful 2.74-acre tract offering the perfect blend of privacy and convenience. Located on Jonesboro Rd., this property features 159.88 feet of paved road frontage, making it ready for your vision. A single driveway has already been approved by the North Carolina Department of Transportation (NCDOT), helping streamline the building process. A septic system will be needed, and a soil report prepared by a licensed soil scientist is available for review. This property is an excellent opportunity for homeowners looking to avoid subdivision living, buyers seeking privacy and space, or custom builders ready for their next project. Enjoy rural charm, open space, and the freedom to create the home you've always wanted.
| 14 hours ago | Listing updated with changes from the MLS® | |
| 14 hours ago | Listing first seen on site |
Listings that are marked with an icon are provided courtesy of the Triangle MLS, Inc. of North Carolina, Internet Data Exchange Database. Copyright 2026 Triangle MLS, Inc. of North Carolina. All rights reserved.
Last checked: 2026-03-03 02:03 PM UTC

Did you know? You can invite friends and family to your search. They can join your search, rate and discuss listings with you.