209 Broad StreetOxford, NC 27565
Due to the health concerns created by Coronavirus we are offering personal 1-1 online video walkthough tours where possible.




Mortgage Calculator
Monthly Payment (Est.)
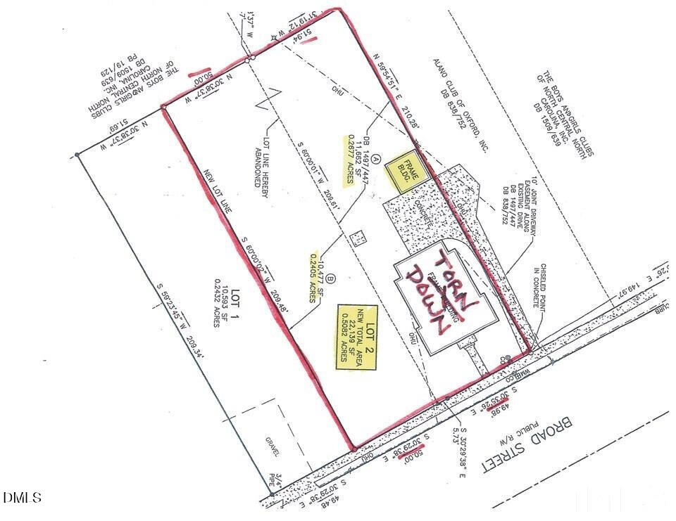
$237Totally Cleared Vacant Lot w/ Shed inside city Limits. Across from Convenience Store and in front of Boys & Girls Club. 210' DEEP Lot. City Water/Sewer, Electric were connected in past to former Home which is now torn down! Buried SEWER GRAVITY line/storm drain PIPE in between the 2 Lots! Can NOT build over Gravity line pipe has 10' set back from each side of line Sewer Manhole in middle. Turquoise colored line in Picture shows location of Sewer Line . Has ZONED HB: some permitted uses are Residential Care Facilities, Heavy Equipment Rental/sales, minor Vehicle Repair, Business support services, Outdoor sales & displays, Medical Clinic, Restaurant, Child Care, Studio/ Art, Dance, drive-thru facility, Nursey. Can Buy this one for $52,000 or BOTH for $100,000. NO OWNER FINANCING
| 3 weeks ago | Listing updated with changes from the MLS® | |
| 3 weeks ago | Status changed to Pending | |
| 2 months ago | Listing first seen on site |
Listings that are marked with an icon are provided courtesy of the Triangle MLS, Inc. of North Carolina, Internet Data Exchange Database. Copyright 2026 Triangle MLS, Inc. of North Carolina. All rights reserved.
Last checked: 2026-05-13 09:00 PM UTC

Did you know? You can invite friends and family to your search. They can join your search, rate and discuss listings with you.