00-00 Fourth Park AvenueRandleman, NC 27317
Due to the health concerns created by Coronavirus we are offering personal 1-1 online video walkthough tours where possible.




Mortgage Calculator
Monthly Payment (Est.)
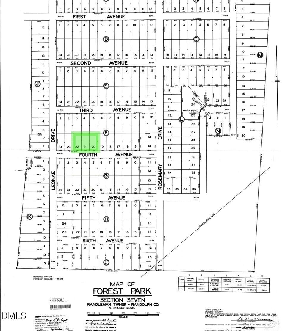
$910.70 AC RM LOT IN RANDLEMAN NC | BUILDABLE | NO HOA | MANUFACTURED OR STICK BUILT OK Build your next home or investment on this 0.70-acre residential lot in Randleman, North Carolina, located on Fourth Park Ave in Randolph County. Zoned RM (Residential Mixed), this property offers exceptional flexibility, allowing stick-built, modular, or manufactured homes, making it suitable for a wide range of buyers and housing plans. With no HOA and no deed restrictions, you maintain control over how the property is used, subject only to county regulations. Not in FEMA Zone. Utilities will require private well and septic installation, and a soil evaluation (Perc Test) will need to be done. The lot is ideal for buyers looking to build affordably while staying within commuting distance of the Triad's major employment centers. RM zoning is one of the most versatile residential classifications in Randolph County, permitting single-family homes and manufactured housing, which adds long-term value and resale flexibility. Whether you're an owner-builder, investor, or looking for a future homesite, this zoning allows multiple residential options not available in more restrictive districts. The location offers convenient access to Randleman, Asheboro, Greensboro, and High Point, while still maintaining a residential neighborhood feel. The area continues to see steady growth driven by affordability, proximity to jobs, and demand for flexible housing options. No floodplain. No HOA. No restrictive covenants. A rare opportunity to secure a buildable RM-zoned lot in an increasingly competitive Randolph County market. Buyer to verify zoning, intended use, soil suitability, setbacks, and utility requirements with Randolph County. LOCATION & DISTANCES Major Cities (Approximate Driving Distance) Asheboro, NC - 10 miles High Point, NC - 16 miles Greensboro, NC - 20 miles Winston-Salem, NC - 38 miles Major Airports Piedmont Triad International Airport (GSO) - 24 miles Smith Reynolds Airport (INT - Winston-Salem) - 40 miles Raleigh-Durham International Airport (RDU) - 73 miles Charlotte Douglas International Airport (CLT) - 88 miles Major Attractions North Carolina Zoo (Asheboro) - 12 miles Greensboro Science Center - 22 miles High Point Furniture Market District - 17 miles Wet 'n Wild Emerald Pointe (Greensboro) - 26 miles
| 2 months ago | Listing updated with changes from the MLS® | |
| 2 months ago | Status changed to Active Under Contract | |
| 2 months ago | Listing first seen on site |
Listings that are marked with an icon are provided courtesy of the Triangle MLS, Inc. of North Carolina, Internet Data Exchange Database. Copyright 2026 Triangle MLS, Inc. of North Carolina. All rights reserved.
Last checked: 2026-03-24 11:04 AM UTC

Did you know? You can invite friends and family to your search. They can join your search, rate and discuss listings with you.