Save
Ask
Tour
Hide
$1,550,000
66 Days On Site
518 E Whitaker Mill RoadRaleigh, NC 27608
For Sale|Unimproved Land|Pending
0
Beds
0
Total Baths
Subdivision:
Not in a Subdivision
County:
Wake
Due to the health concerns created by Coronavirus we are offering personal 1-1 online video walkthough tours where possible.
Call Now: 919-404-SHOW
Is this the listing for you? We can help make it yours.
919-404-SHOW



Save
Ask
Tour
Hide
Mortgage Calculator
Monthly Payment (Est.)
$7,072Calculator powered by Showcase IDX, a Constellation1 Company. Copyright ©2026 Information is deemed reliable but not guaranteed.
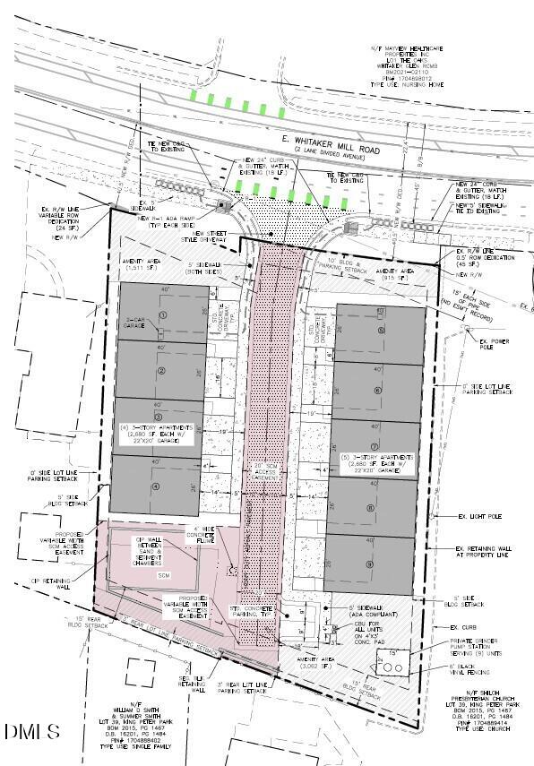
Value is in the land and prime proximity to Five Points. Two parcels offered together for multifamily development. Seller has completed the site permit review process with the City of Raleigh; site plan approved for a 9-unit residential development. Contact listing agent for plans/approvals and additional details. Existing structures remain and convey as-is, where-is. 522 is tenant-occupied - do not disturb.
Save
Ask
Tour
Hide
Listing Snapshot
Price
$1,550,000
Days On Site
66 Days
Bedrooms
N/A
Inside Area (SqFt)
N/A
Total Baths
N/A
Full Baths
N/A
Partial Baths
N/A
Lot Size
0.67 Acres
Year Built
N/A
MLS® Number
10143834
Status
Pending
Property Tax
$11,734
HOA/Condo/Coop Fees
N/A
Sq Ft Source
N/A
Friends & Family
Recent Activity
| 2 months ago | Listing updated with changes from the MLS® | |
| 2 months ago | Status changed to Pending | |
| 2 months ago | Listing first seen on site |
General Features
Acres
0.67
Additional Property Use
Multi-FamilyResidentialSee Remarks
Property Sub Type
Unimproved Land
Sewer
Public Sewer
Special Circumstances
Standard
Utilities
Cable AvailableElectricity AvailableSewer AvailableWater Available
Water Source
Public
Zoning
R-10
Save
Ask
Tour
Hide
Exterior Features
Lot Features
WoodedCity Lot
Other Structures
OutbuildingResidence
Community Features
Financing Terms Available
CashConventional
Roads
Asphalt
Schools
School District
Unknown
Elementary School
Wake - Underwood
Middle School
Wake - Oberlin
High School
Wake - Broughton
Listing courtesy of Brad Phelps of Long & Foster Real Estate INC/Raleigh
Listings that are marked with an icon are provided courtesy of the Triangle MLS, Inc. of North Carolina, Internet Data Exchange Database. Copyright 2026 Triangle MLS, Inc. of North Carolina. All rights reserved.
Last checked: 2026-04-06 06:22 PM UTC
Listings that are marked with an icon are provided courtesy of the Triangle MLS, Inc. of North Carolina, Internet Data Exchange Database. Copyright 2026 Triangle MLS, Inc. of North Carolina. All rights reserved.
Last checked: 2026-04-06 06:22 PM UTC
Neighborhood & Commute
Source: Walkscore
Disclosure: Community information and market data powered by Constellation Data Labs. Information is deemed reliable but not guaranteed.
Save
Ask
Tour
Hide

Did you know? You can invite friends and family to your search. They can join your search, rate and discuss listings with you.