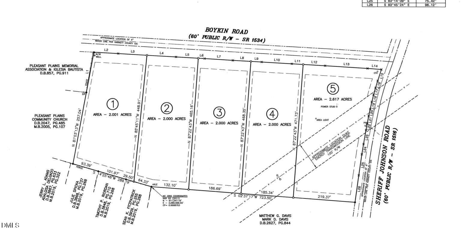
1807 Sheriff Johnson Lot 2 RoadLillington, NC 27546
Due to the health concerns created by Coronavirus we are offering personal 1-1 online video walkthough tours where possible.




Mortgage Calculator
Monthly Payment (Est.)
$570Discover the perfect place to build your dream home in the heart of Buies Creek, NC. Lot #2 is one of two adjacent lots available and offers approximately 2 acres of flat, fully cleared land—ready for construction. This homesite features electric access, city water availability, and recent perc and soil evaluations completed in October 2025, making it septic-ready and saving you time and hassle. With 182 feet of road frontage on Boykin Road, this property combines excellent access with the peaceful charm of rural living. Located just minutes from Lillington, NC, you'll enjoy the perfect balance of open space and convenience, with nearby shops, restaurants, and everyday essentials close at hand. Whether you're envisioning a modern farmhouse, a private retreat, or your forever home, this versatile property provides a beautiful canvas in a quiet Harnett County setting. Enjoy room to spread out, create privacy, and design a home that truly fits your lifestyle.
| 14 hours ago | Listing updated with changes from the MLS® | |
| 14 hours ago | Listing first seen on site |
Listings that are marked with an icon are provided courtesy of the Triangle MLS, Inc. of North Carolina, Internet Data Exchange Database. Copyright 2026 Triangle MLS, Inc. of North Carolina. All rights reserved.
Last checked: 2026-01-23 12:46 PM UTC

Did you know? You can invite friends and family to your search. They can join your search, rate and discuss listings with you.