209 Broad StreetOxford, NC 27565
Due to the health concerns created by Coronavirus we are offering personal 1-1 online video walkthough tours where possible.




Mortgage Calculator
Monthly Payment (Est.)
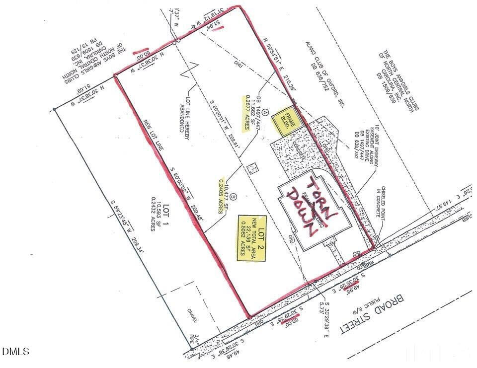
$456TWO Totally Cleared Commercial lots side by side, zoned Neighborhood Business . Can be SOLD as one recombined lot for $100 k or SOLD Separately : Lot with large SHED for $52 K and Lot with NO structure for $50 K. Good location in downtown Oxford with great drive- by traffic, and near Home Care business, convenient store, & in front of BOYS and GIRLS Club. 2 Parcels (.2677 AC + SHED & .2405 AC w/ No structure .).. Recombined as 'LOT 2' w/ total .5082 AC & Almost 100Ft PAVED Rd Frontage & 210' Deep Lot! City Water/Sewer, Electric were connected in past to former Home which is now torn down! Buried SEWER GRAVITY line/ storm drain PIPE in between the 2 Lots! Can NOT build over Gravity line pipe has 10' set back from each side of line Sewer Manhole in middle. Turquoise colored line in Picture shows location of Sewer Line . 10' Joint Driveway Easement (on right hand side of lot by white house where shrubs have been planted). ZONED HB: some permitted uses are Residential Care Facilities, Heavy Equipment Rental/sales, minor Vehicle Repair, Business support services, Outdoor sales & displays, Medical Clinic,, Restaurant, Child Care, Studio/ Art, Dance, drive-thru facility, Nursey. $100,000 for BOTH LOTS or $52 K & $50 K sold separately. See picture & Docs for complete list of permitted uses. and Set- Back requirements. NO OWNER FINANCING
| 3 weeks ago | Listing updated with changes from the MLS® | |
| 3 months ago | Listing first seen on site |
Listings that are marked with an icon are provided courtesy of the Triangle MLS, Inc. of North Carolina, Internet Data Exchange Database. Copyright 2026 Triangle MLS, Inc. of North Carolina. All rights reserved.
Last checked: 2026-04-04 11:00 AM UTC

Did you know? You can invite friends and family to your search. They can join your search, rate and discuss listings with you.