Save
Ask
Tour
Hide
$180,000
26 Days On Site
Tbd Ephesus Church RoadSemora, NC 27343
For Sale|Agriculture|Pending
0
Beds
0
Total Baths
Subdivision:
Not in a Subdivision
County:
Person
Due to the health concerns created by Coronavirus we are offering personal 1-1 online video walkthough tours where possible.
Call Now: 919-404-SHOW
Is this the listing for you? We can help make it yours.
919-404-SHOW

Save
Ask
Tour
Hide
Mortgage Calculator
Monthly Payment (Est.)
$821Calculator powered by Showcase IDX, a Constellation1 Company. Copyright ©2025 Information is deemed reliable but not guaranteed.
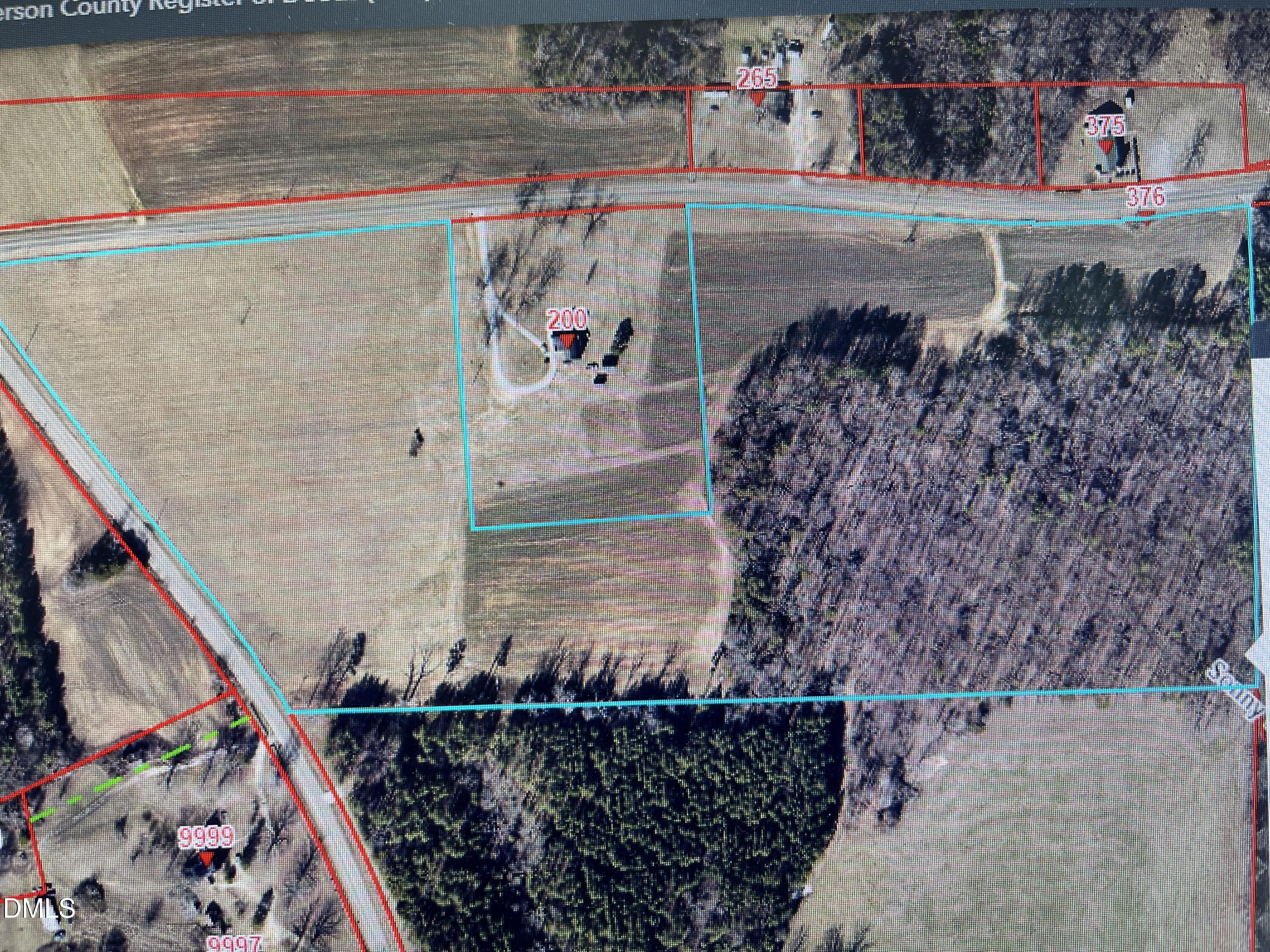
30 acres in the northern part of Person County , 3/4 of land is clear and the other in timber. The land is now has soybeans and corn. very level ground. Would easily be made into a horse pasture and/or a beautiful home place. the property is very convenient to Danville,South Boston and Roxboro. NO Mobile, single or doublewide allowed.
Save
Ask
Tour
Hide
Listing Snapshot
Price
$180,000
Days On Site
26 Days
Bedrooms
N/A
Inside Area (SqFt)
N/A
Total Baths
N/A
Full Baths
N/A
Partial Baths
N/A
Lot Size
30 Acres
Year Built
N/A
MLS® Number
10135314
Status
Pending
Property Tax
$1,314
HOA/Condo/Coop Fees
N/A
Sq Ft Source
N/A
Friends & Family
Recent Activity
| 2 weeks ago | Listing updated with changes from the MLS® | |
| 2 weeks ago | Status changed to Pending | |
| 4 weeks ago | Listing first seen on site |
General Features
Acres
30
Additional Property Use
AgriculturalCattleGrazingHorses
Lease Term
Other
Parking
Paved
Property Sub Type
Agriculture
Sewer
None
Special Circumstances
Standard
Utilities
Electricity Available
Water Source
None
Zoning
RC
Save
Ask
Tour
Hide
Exterior Features
Fencing
None
Lot Features
ClearedWooded
Road Frontage
County RoadState Road
Community Features
Financing Terms Available
CashConventional1031 Exchange
Roads
Paved
Schools
School District
Unknown
Elementary School
Person - Woodland
Middle School
Person - Northern
High School
Person - Person
Listing courtesy of James Poindexter of RE/MAX Premier Realty
Listings that are marked with an icon are provided courtesy of the Triangle MLS, Inc. of North Carolina, Internet Data Exchange Database. Copyright 2025 Triangle MLS, Inc. of North Carolina. All rights reserved.
Last checked: 2025-12-27 10:31 PM UTC
Listings that are marked with an icon are provided courtesy of the Triangle MLS, Inc. of North Carolina, Internet Data Exchange Database. Copyright 2025 Triangle MLS, Inc. of North Carolina. All rights reserved.
Last checked: 2025-12-27 10:31 PM UTC
Neighborhood & Commute
Source: Walkscore
Disclosure: Community information and market data powered by Constellation Data Labs. Information is deemed reliable but not guaranteed.
Save
Ask
Tour
Hide

Did you know? You can invite friends and family to your search. They can join your search, rate and discuss listings with you.