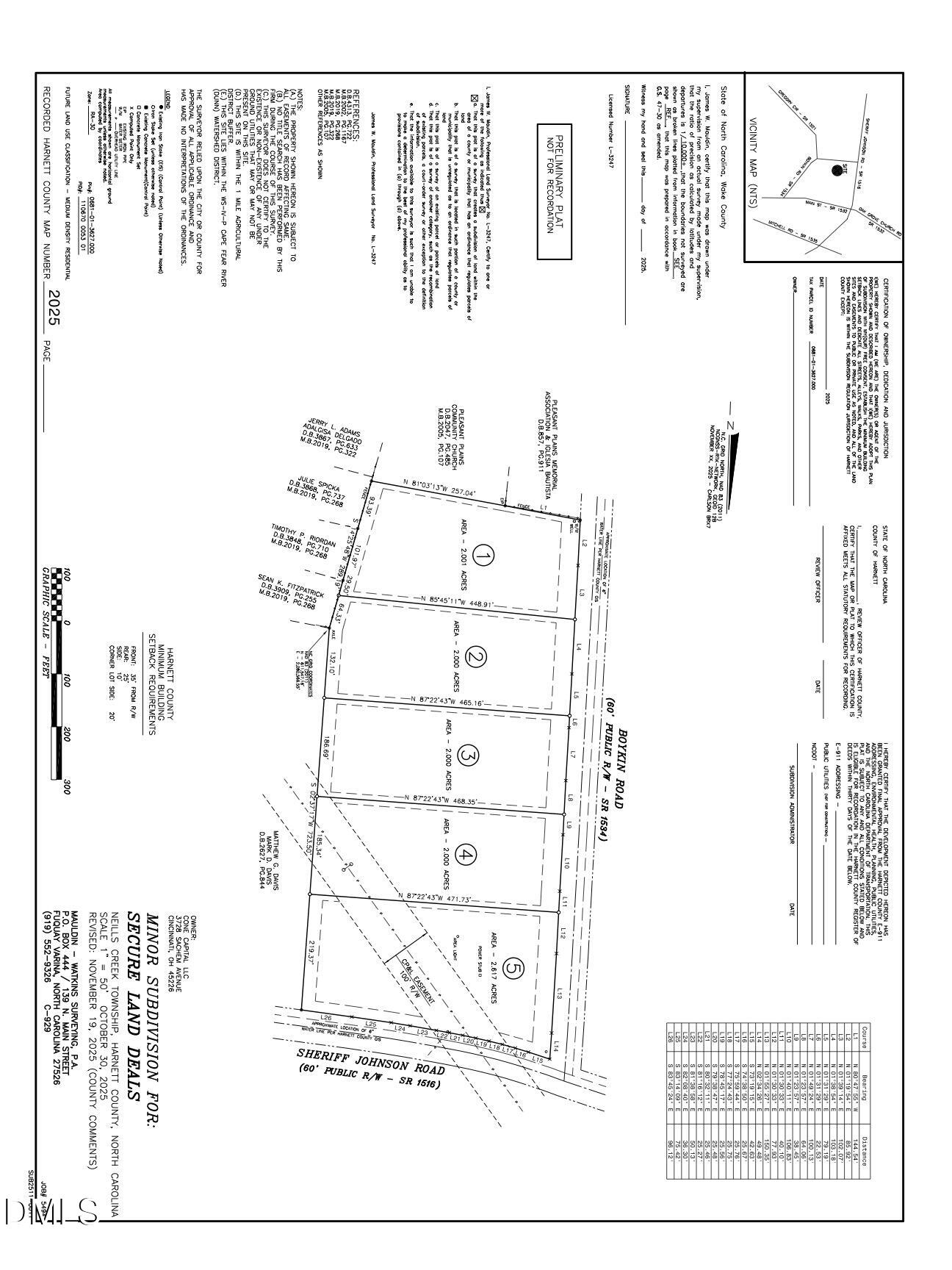
1813 Sheriff Johnson RoadLillington, NC 27546
Due to the health concerns created by Coronavirus we are offering personal 1-1 online video walkthough tours where possible.




Mortgage Calculator
Monthly Payment (Est.)
$525Discover the perfect place to build your dream home in the heart of Buies Creek, NC. Lot #4 is one of the two remaining lots available and is approximately 2 acres of flat, fully cleared land ready for building with electric access, city water, and recent perc tests making it septic ready. Lots 1-3 sold in under 10 days at full asking price so this lot will not last long. Located near Lillington, NC, this land has the rare balance of spacious rural living with the convenience of nearby stores, shops, and restaurants. It has close to 200' of frontage on Boykin Rd, which has public water access. Perc tests and soil evaluations were just completed in October 2025 allowing for approved septic systems, the groundwork has been done to make your building process smooth and stress-free. There's a powerline easement that goes through the back of the property, but there's plenty of room in the center and front of the parcel to build whatever you desire. Perfect for a modern farmhouse, private retreat, or forever home, this property offers a flexible canvas with plenty of space, privacy, and the charm of Harnett County.
| 2 weeks ago | Listing updated with changes from the MLS® | |
| 2 weeks ago | Status changed to Pending | |
| 3 weeks ago | Listing first seen on site |
Listings that are marked with an icon are provided courtesy of the Triangle MLS, Inc. of North Carolina, Internet Data Exchange Database. Copyright 2025 Triangle MLS, Inc. of North Carolina. All rights reserved.
Last checked: 2025-12-15 07:54 PM UTC

Did you know? You can invite friends and family to your search. They can join your search, rate and discuss listings with you.