208 N Lee AvenueDunn, NC 28334
Due to the health concerns created by Coronavirus we are offering personal 1-1 online video walkthough tours where possible.


Mortgage Calculator
Monthly Payment (Est.)
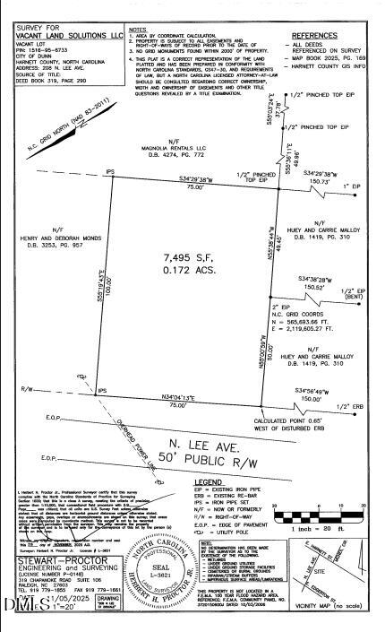
$205Discover an excellent opportunity to own a .17-acre residential lot in Dunn. Zoned R-7, this flat, cleared parcel is ready for your new home or investment build. The property offers paved road frontage with drive-up access, making site visits simple and convenient. Public utilities are available to tap into, including city water, public sewer, electricity, and gas. A recent survey is available for review. Nestled in a quiet, welcoming community near downtown Dunn, this lot blends peaceful living with easy access to local shops and I-95. Whether you're ready to build your forever home or invest and build in a growing area with strong rental and resale potential, this property is full of promise.
| 4 weeks ago | Listing updated with changes from the MLS® | |
| 4 weeks ago | Status changed to Pending | |
| a month ago | Listing first seen on site |
Listings that are marked with an icon are provided courtesy of the Triangle MLS, Inc. of North Carolina, Internet Data Exchange Database. Copyright 2025 Triangle MLS, Inc. of North Carolina. All rights reserved.
Last checked: 2025-12-27 10:42 PM UTC

Did you know? You can invite friends and family to your search. They can join your search, rate and discuss listings with you.