0 Optimist Farm RoadHolly Springs, NC 27540
Due to the health concerns created by Coronavirus we are offering personal 1-1 online video walkthough tours where possible.




Mortgage Calculator
Monthly Payment (Est.)
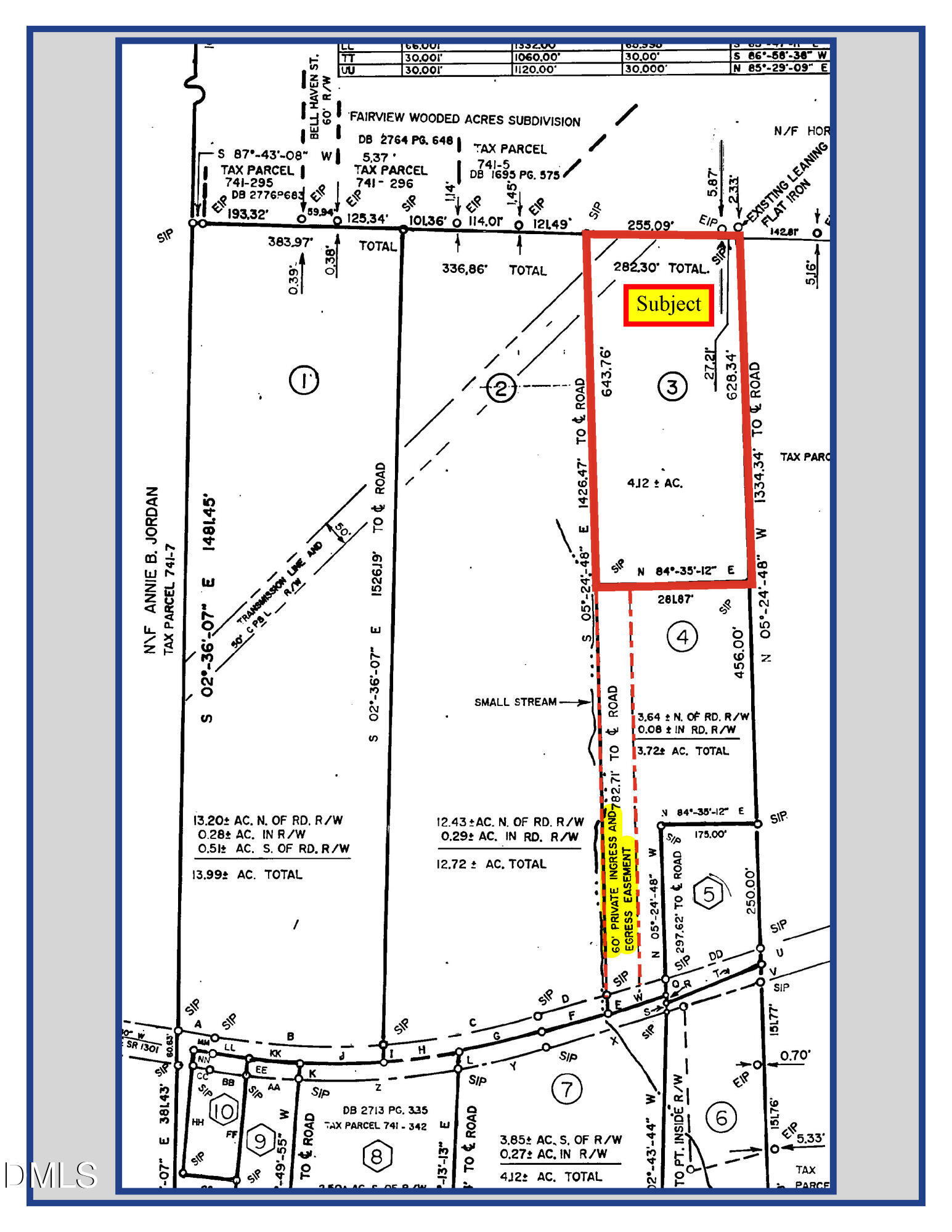
$2,961Holly Springs 4.12± Acre Home Site - $649,000 Private Estate Opportunity Near Sunset Lake & Optimist Farm Roads Discover an exceptional 4.12± acre homesite in one of Holly Springs' most desirable locations, with additional acreage available. This prime property offers beautiful rolling topography, private access, and ample space for animals, workshops, gardens, or outdoor recreation — the perfect setting for your custom home or executive estate. Enjoy the peace of rural living without sacrificing convenience — you're just minutes from I-540, RTP, Holly Springs, Cary, and Fuquay-Varina. Property Highlights: 4.12± Prime Acres (Additional Acreage Available) Ideal for a Private Estate or Custom Home Beautiful Natural Setting with Mature Trees and Gently Rolling Terrain Private Access with Plenty of Room for Animals, Workshops & Outdoor Enjoyment Convenient Location near Major Routes, Shopping, and Schools Zoned R-R (Rural Residential): Supports Single-Family or Attached Dwellings Water & Sewer Possibly Available* Build your dream home in a high-growth area that combines privacy, natural beauty, and proximity to everything the Triangle has to offer. *Water and sewer availability subject to the Town of Holly Springs..**Showings by Appointment Only with 24 hours notice.**
| 3 months ago | Listing updated with changes from the MLS® | |
| 3 months ago | Listing first seen on site |
Listings that are marked with an icon are provided courtesy of the Triangle MLS, Inc. of North Carolina, Internet Data Exchange Database. Copyright 2026 Triangle MLS, Inc. of North Carolina. All rights reserved.
Last checked: 2026-01-21 09:29 AM UTC

Did you know? You can invite friends and family to your search. They can join your search, rate and discuss listings with you.